Arcachon
Ville d'Hiver
Villa Vasco De Gama (Feridje)
13 allée des
Dunes
Cette grande villa date de 1889.

Villa Vasco De Gama : plan Ormières 1896

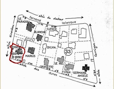
Villa Féridje : plan-guide 1922

Villa Feridje : plan Ducos 1928

Vers 1910 : villa Vasco De Gama - Cliché Léo Neveu -
collection JLP -
En 1904, la villa porte le nom "Vasco De Gama".
La villa comprend un sous-sol, un rez-de-chaussée surélevé accessible par
un escalier droit. Le corps du bâtiment central est en saillie et polygonal.
Dès 1915, le grand-père maternel de Elisabeth Borne, Louis Désiré Lescène,
pharmacien originaire de Livarot en Normandie et maire de cette
commune, a vécu dans cette villa.

Villa Féridje (Vasco De Gama) : plan 1981
Source - les Villas de la ville d'Hiver de 1863
à nos jours - Travail Encadré de Recherches de
Maîtrise d'Histoire de l'Art - Renée Lerouge 1991.

2011 : villa Féridje 13 allée des Dunes - source photo privée -
L'annuaire de 1972 indique la famille Jeulin propriétaire de Féridje.

2025 : villa Vasco De Gama 13 allée des Dunes - source photo privée -
Elle a repris son nom d'origine.

6 février 2026 : villa Vasco De Gama 13 allée des Dunes - source photo privée -
RETOUR