Arcachon
Ville de Printemps
Villa Flamberge (Campo)
67 boulevard de l'Océan
La villa a été édifiée vers 1890 selon les plans
de l'ingénieur John Lawson.

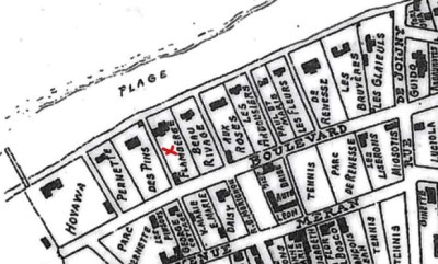
Villa Flamberge : plan-guide 1922
Villa Flamberge : plan Ducos 1928
Elle dispose d'un chemin privatif.
Vers 1900 : villa Flamberge - collection ND Phot. -
La villa de style néo-classique aurait été édifiée à la fin des années 1890.
Elle a appartenu au négociant bordelais Émile Calvet, propriétaire
également de la villa "Aux Roses" et du chalet "Debans".
L'étage a été ajouté au début du XXème siècle. Avant de s'appeler "Flamberge",
elle s'appelait "Campo",
ainsi nommée, car elle
aurait appartenu
au Marquis de Campo. Elle est
de style néoclassique. Le chemin de sable permet
un accès au boulevard.

Vers 1900 : villa Campo - éditeur M.D. -
----------------------------------------------------------------------------------------------------
Sources : Famille Propriétaire
La villa "Flamberge" actuellement au 67 du Boulevard de l'Océan se trouvait au
numéro 57;
elle a été connue sous le nom de villa Campo mais les titres de
propriété la décrivent
comme pavillon de Aldecoa.
"Madame Léonie Rose Lepayeur est
la plus ancienne propriétaire connue ,
veuve de Mr Jean Baptiste de Aldecoa" ;
ensuite Mr Calvet veuf de
Mme Segresta; la date la plus ancienne attestant de
l'existence de la villa
est décembre 1901 et pour une partie du terrain
en mai 1897;
la villa était d'aspect symétrique; une importante extension a eu
lieu
en novembre 1915 où l'étage supérieur a été largement agrandi ;
----------------------------------------------------------------------------------------------------

2010 : 67 boulevard de l'Océan - source photo privée -
Vue du boulevard.
2010 : 67 boulevard de l'Océan - source photo privée -
Vue du Chalet des Pins.

2011 : 67 boulevard de l'Océan - source Photo Jean-Paul P. -
Vue de la magnifique plage devant la villa Flamberge

2011 : 67 boulevard de l'Océan - source Photo Jean-Paul P. -
Vue du boulevard.

2021 : 67 boulevard de l'Océan (vue du 65)
La vue sur la villa "Flamberge" de la rue n'est possible que de côté.
Il reste des éléments de murs du belvédère dont les cartes postales anciennes
rappellent l'aspect d'origine.
Au N°65, il y avait la villa "Beau-Rivage" , un chalet édifié en 1867, une
construction de plain-pied surmontée d'une toiture à deux pans en croupe.
Elle a été démolie vers 1970 pour constituer la SCI "Les Rivages"
(entreprise Louis Gaume, 55 rue Lamartine).

18 octobre 2021 : Flamberge vue de la plage face à la résidence "Les Pins".
En 2025, un programme de réhabilitation comprenant 4 appartements de
luxe est en cours.
RETOUR