Arcachon
Ville de Printemps
Villa Caprice
388 boulevard de La Plage (actuel N°416)
Pouvoir identifier cette villa a été très laborieux.
Il existe d'autres villas "Caprice" à Arcachon, mais
l'énigme de positionner cette dernière relevait
de l'enquête policière. La numérotation initiale
du boulevard s'arrêtait au N°390, côté pair.

Villa La Bécasse ex Caprice : plan-guide 1922

Vers 1900 : villa "Caprice", collection JLP -
En 1872, c'est la Marquise de Brachet qui en est
propriétaire. Les villas étaient alors pour la plupart
désignées par le nom de leurs propriétaires.

7 juin 1904 : Vente aux enchères publiques Lot N°9
Cet encart publié dans le journal Mémorial des Pyrénées du 19 mai 1904
a permis de lever le doute.
Lesdits immeubles dépendant de la succession de Monsieur Paul Soulié-Cottineau
et de Madame Léonie Cotard, sa première épouse.

1904 : La villa "Les Iris" était la dernière du boulevard de la Plage côté pair,
au N°390, Caprice au N°388 et donnant en partie sur la rue Thomas Illyricus
était sa voisine, faisant l'objet du lot N°9 de cette vente.

1904 : vente Villa Caprice, boulevard de la Plage N°388
Cette vente aux enchères a permis de lever une partie des doutes. Sa voisine
était la villa "Paul Henri" appartenant à Monsieur Soulié-Cottineau, propriétaire
de la Maison Universelle en centre-ville et dont un des fils était
prénommé "Paul Henri". C'est l'actuelle "Chante-Brise" mais elle a eu
pour nom "Adelaïde" également.

Façade est : ici la tourelle permettant l'accès aux étages supérieurs, décrite dans
le lot de vente aux enchères. On remarque que les lambrequins du toit
(tout comme l'angle du toit) sont identiques à
ceux de la façade ouest présentés sur cette page.

Façade ouest : côté boulevard de la Plage
La clôture n'est pas la même que sur la première photo, mais le balcon est
identique et un détail majeur nous interpelle.

8 11 2024 : Chante-Brise, 386 boulevard de la Plage (N°414 actuel)
C'est une villa coincée entre deux résidences récentes.
L'espèce de pomme de pin adossée au muret voisin a mal vieilli,
mais c'est la même.

24 10 1927 : acte de vente de Caprice-Erica
La villa est vendue par Madame Marie Allaire domiciliée à
Nogent-sur-Marne et veuve de Théophile Albert Nessler
à Marcel Gaitte-Grave, directeur de la Société Nobel Franco-Sarroise.
(source V.G.)

8 11 2024 : Chante-Brise, 386 boulevard de la Plage (N°414 actuel)
Quant au muret et au grillage, on peut constater qu'ils sont identiques à autrefois.
La grille est d'ailleurs dans le même style que celle présentée sur la première photo,
mais appartenant à Caprice.

Caprice : IGN 1926

Villa Caprice : IGN 08 09 1951
Elle a aussi porté le nom "Les Bécasses".
La tourelle décrite dans la vente de 1904 est visible, la forme du terrain correspond.
La villa a été totalement modifiée après sa vente, mais la tourelle arrière a été
maintenue et surelevée. A sa gauche, au N°414, la seule survivante : Chante-Brise.

Vers 1970 : vue sur Arcachon - édition Elcé -
La villa "Caprice" qui a changé de nom depuis longtemps (La Bécasse Erica)
est reconnaissable à l'extrême gauche sous la flèche grâce à sa tourelle décrite
dans la vente aux enchères de 1904.

Vers 1990 : résidence Erica (avant Caprice, La Bécasse) entourée de rouge.
On remarque que la résidence Aigue-Marine (ex Donalda, ex Les Iris) n'est pas
encore construite à la gauche de Erica.
En 1947-1972, elle figure comme propriété de Marcel Gaitte-Grave, mais en 1972,
c'est une SCI Erica qui est créée, démolition et construction d'un immeuble.

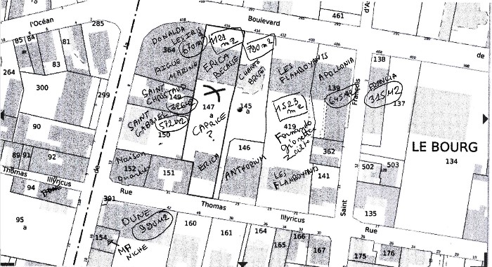
2024 : Cadastre Quartier / reconstitution
Presque toutes les villas ont été détruites entre 1970 et 1990.
Seule "Chante-Brise" a résisté aux promoteurs.
La résidence "Les Flamboyants" édifiée en 1977, correspond au regroupement
des lots des anciennes villas Fernando, Gionetta et Zailto.
La résidence "Aigue-Marine" édifiée en 1992 a pris la place de l'ancienne
villa "Les Iris" devenue "Donalda" quand la célèbre cantatrice canadienne
en a fait l'acquisition dans les années 30.

8 11 2024 : résidence Erica, boulevard de la Plage N°418 - source photo privée -
La résidence a été construite en 1975.
Le Club de Bridge arcachonnais y a eu son siège social de 1976 à 1980 avant
de déménager définitivement au 195 boulevard de la Plage.
RETOUR